
On December 1, U.S. District Judge Jill Otake will hold a hearing on the City & County of Honolulu’s motion to dismiss a complaint from companies that allege public corruption is at the heart of why their plans to develop an agricultural subdivision at Marconi Point on Oʻahu’s North Shore have been stalled for years.
The companies — Makai Ranch, LLC; Marconi Farms, LLC; MP Unit 21, LLC; and RCA Trade Center, Inc. — are owned by developer Jeremiah Henderson III. Their complaint, filed in federal court on May 26, alleges that various city departments and personnel (in collusion with an outside consultant recently convicted on federal bribery charges) have illegally withheld subdivision and building permit approvals, while taxing their agriculture/preservation-zoned properties at rates comparable to those with houses on them.
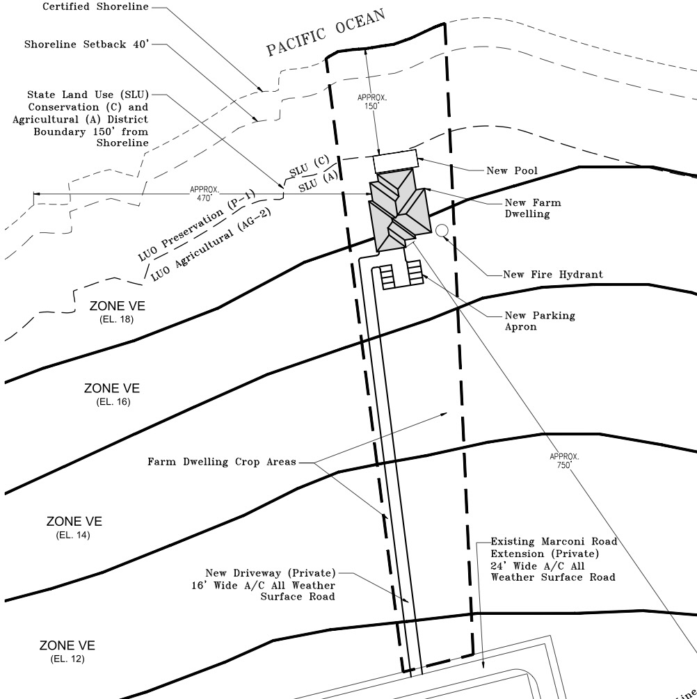
The complaint claims that Makai Ranch has spent nearly $17 million in trying to develop the subdivision on 95.5 acres within the Special Management Area (SMA), adjacent to the Turtle Bay Resort and the Kahuku Point restoration area, which provides habitat to a number of federally protected native species.
Having been denied subdivision approval by the city, however, activities on the land continue to be governed by a condominium property regime.
While Henderson’s companies own much of the land, more than a dozen units within the CPR have been sold since it was established a decade ago. Under the CPR’s covenants, only a few units are allowed to have a farm dwelling. But that restriction would no longer apply if Makai Ranch were able to subdivide the units into individual lots.
Henderson’s companies, as well as some of the other owners who are allowed a farm dwelling on their units, have applied for building permits from the city Department of Planning and Permitting (DPP). But the department has halted or effectively denied building permit and subdivision approvals within the Marconi CPR because the department determined that they are part of a larger development, triggering the need for the companies to obtain an SMA permit.
In their complaint, the companies argue that the DPP had assured them in a 2014 letter that no SMA permit would be required for dwellings within at least one of the four lots of record that make up the CPR. They allege that the department’s about-face years later was somehow tied to corrupt actions by their consultant, William Wong, and DPP employees, including Kanani Padeken. Wong and Padeken both pleaded guilty to federal bribery charges and were recently sentenced to one year and ten months in prison, respectively.
The companies made this claim despite explanations from two different DPP heads that the companies’ own publicly available plans and the scope of the activities for which permits and subdivision approvals have been sought had convinced them that a review of the impacts within the entire CPR area was necessary.
In addition to architectural drawings for a large two-story house with a pool (labeled sometimes as “aquaponics”) on one of the oceanfront lots, promotional material for a January 2022 auction of four other oceanfront units within the historic Marconi Wireless Telegraph Station area also suggested that something more than a farming subdivision was afoot:
“Did you miss the opportunity to buy a beachfront Oʻahu North Shore property when it was presented by Concierge Auctions back in July? And you missed the successful oceanfront North Shore auction in September? Then take note. Maybe third time’s the charm.
“Previews have just opened for Marconi Station, another luxury beachfront property consisting of 28 oceanfront acres across four parcels. Of particular interest, four structures with historic designation potentially allow for flexibility in use beyond what zoning would otherwise permit,” Concierge Auctions’ announcement stated.

Credit: Colliers International
The city’s motion to dismiss, filed on July 30, notes that the project area lies within the Agriculture and Preservation zoning districts, which “exist to limit development on certain parcels of land. … [T]he city zoned the property such that there would never be more than a limited amount of development, if there is any development at all.”
“Act 16, passed in 2020, changed [Hawaiʻi Revised Statutes] Chapter 205A such that two farm dwellings per zoning lot would no longer be allowed without a SMA permit for shoreline lots,” the city wrote. Nearly half of the units within the CPR are shoreline lots, although only two of them are currently allowed farm dwellings.
The city continued, “Makai Ranch now seeks to further subdivide the property and build multiple luxury farm dwellings. A subdivision by itself may not be considered a ‘development’ under HRS Chapter 205A. Under the previous version of HRS Chapter 205A, a single farm dwelling, by itself may not be considered a ‘development.’ However, Plaintiffs’ combined aspirations demonstrate that there are plans which would have ‘cumulative impact, or a significant environmental or ecological effect’ and therefore the plans are a ‘development’ for purposes of HRS Chapter 205A. Thus, DPP has told Makai Ranch that it will need a SMA permit if Makai Ranch still intends to develop the Property.”

In addition, the companies’ own complaint exhibits show that with regard to Makai Ranch’s agricultural subdivision application, the company missed the deadline to meet all of the requirements imposed by the DPP. In particular, the state Historic Preservation Division had asked the DPP to defer deciding on the application until a memorandum of agreement was finalized regarding work in and around the Marconi Wireless Telegraph Station, which is listed on the national and state historic registers. The deadline to satisfy the city’s requirements — including the final MOA — passed in January 2021. The MOA was not completed until August of that year.
Assurances
The companies’ complaint alleges several rights violations and claims that they have a vested right to the building permit and subdivision approvals they have sought.
In addition to the 2014 letter from then-DPP director George Atta, they list several other instances where the DPP, at the very least, gave the companies the impression that farm dwellings could be built without having to secure a SMA permit.
For example, their attorneys noted in one of their briefs that the DPP had advised the developer that their 2012 permits were “all approved,” and one of the DPP’s branches even provided Makai Ranch with an internal checklist indicating that farm dwelling construction on the property was being considered exempt from the SMA permit requirements.
They stated that the most notable assurance came from Atta’s letter. They argued that the letter stated that certain activities, including construction of two farm dwellings per lot, would be SMA-exempt.
“Now, defendants claim that the 2014 letter, and all of the other communications described above, are not ‘official assurances.’ In defendants’ view, even a building permit is not an ‘official assurance,’” they stated.
They claimed that development plans were proceeding as expected until Makai Ranch hired architect and third party reviewer William Wong to assist with processing of certain permit applications submitted to DPP. According to the companies’ complaint, however, development was not proceeding as expected. It states that Wong was hired because one of the unit owners was having trouble getting the necessary approvals for their farm dwelling and was threatening legal action against Makai Ranch.
Even so, Henderson’s companies assert that their problems are somehow tied to Wong’s involvement.
“Wong is a convicted felon who was recently sentenced to prison. As is now known, Wong was the architect (literally) of a pay-to-play corruption scheme that ended with the conviction of Wong and multiple DPP employees,” they wrote. “Makai Ranch believes that its permitting woes were initially the result of Makai Ranch’s refusal to participate in Wong’s pay-to-play scheme. When Makai Ranch refused to pay unnecessary consulting fees to Wong, Makai Ranch believes that Wong influenced the corrupt DPP officials who were under Wong’s influence to halt processing of Makai Ranch’s permit applications and reverse the assurances previously given to Makai Ranch. These officials include, without limitation, Kanani Padeken and [former chief building inspector] Wayne Inouye,” who have also been convicted of federal bribery charges.
The city, in its motion to dismiss, argues that the DPP has always maintained discretionary authority to determine whether a SMA permit is required or not. Henderson’s companies, however, argue that the DPP’s decision to consider the work planned within the Marconi Point Condominiums property as “development” requiring a SMA permit “was either not based on the merits of plaintiffs’ application but instead based on plaintiffs’ refusal to participate in Wong’s corruption, or that this decision treated plaintiffs as a ‘class of one’ thereby violating equal protection.’”
Their attorneys added that the plaintiffs bought the property “with certain distinct investment-backed expectations consistent with the allowable uses, and Director Atta and DPP officials have further confirmed these uses. Plaintiffs incurred millions of dollars of expenses to prepare development in reliance on these assurances. However, the City extinguished these long-standing expectations without affording due process or just compensation, either because of Plaintiffs’ refusal to participate in the pay-to-play corruption, or otherwise.”
They noted that the city’s own brief acknowledges that according to a 2010 DPP policy, the department believed that the construction of two dwelling units on a single zoning lot within the SMA would not be considered ‘development’ that would trigger the need for a SMA.
“This opinion, which DPP confirmed in writing to Makai Ranch in the 2014 Letter, created one of several vested property rights that Makai Ranch is seeking to protect in this lawsuit. The fact that DPP’s opinion or the law may have later changed does not matter, because Makai Ranch’s property rights already became vested and the City could not take away those rights without just compensation,” they wrote.
Discretion
In responding to the Henderson companies’ allegations that the DPP gave them multiple assurances that their development could proceed without a SMA permit, attorneys for the city focused mainly on the 2014 letter from Atta.
“[T]he 2014 letter informed plaintiffs that (based upon DPP’s current policies, which were based upon the law at the time) plaintiffs could seek ‘a building permit for a farm dwelling’ without seeking a SMA permit, ‘provided that all [land use ordinance] and other development standards are met,’” the city’s attorneys wrote.
In situations where the DPP finds that any excluded use might have a cumulative or a significant environmental or ecological effect, “that use . . . shall be defined as ‘development’ for purpose of this part,’ Thus, DPP always retained discretion to require a SMA permit and plaintiffs do not have a protected property right to building and subdivision permits,” they continued.
While Henderson’s complaint seeks declaratory and injunctive relief that would force the DPP to issue building, roadway subdivision, and subdivision permits, the city argued that the law requires them to have exhausted any administrative remedies first before seeking a court-ordered one.
The city argued that the companies could have brought their complaints about the city’s lack of action on their subdivision permit applications to the Zoning Board of Appeals. And their complaints about the stalled or denied building permits could have been raised with the Building Board of Appeals.
In addition to not seeking relief from either the ZBA or BBA, the city noted that Henderson’s companies never applied for a SMA permit and “thus, they have never received a final, authoritative decision regarding the use of the land. Therefore, their inverse condemnation claim is unripe.”
Although Henderson’s attorneys argued that the DPP treated his companies’ proposed agricultural subdivision differently from other similarly zoned CPR properties on the North Shore, the city claims that no facts were presented to the court to substantiate those claims.
“The most specific facts alleged in the Complaint are that ‘the Waialee condominium project near Kawela Bay, which like the Property, is located within the SMA, and contains several zoning lots and multiple condominium units, with five (5) farm dwellings.’ This single vague assertion, which does not even give the Waialee project’s precise location, zoning, or the date of development, is not enough to sufficiently plead a claim,” the city’s attorneys stated. (The companies’ attorneys asked the court for permission to amend its complaint to include more detail, but no amendment had been filed by press time.)
The city’s attorneys pointed out that the DPP never stated that Henderson’s companies could not build some amount of farm dwellings or a road; it only found that “an additional permit is necessary because of the location and breadth of plaintiffs’ development aspirations. Thus, each of plaintiffs’ claims against DPP defendants is unripe because this court cannot determine if the regulation has gone too far until plaintiffs have actually meaningfully sought the SMA Permit. … Plaintiffs seek to avoid the SMA permitting process entirely.”
Addressing the corruption claims, the city’s attorneys admitted, “It is undeniable that DPP has been the subject of a lot of scrutiny because of the alleged conduct of some employees.” However, they called the corruption claims by Henderson’s companies dubious.
“[T]he plaintiffs are claiming that the third-party reviewer (who was not an employee of DPP) extorted plaintiffs with the threat of slowing down the permitting process intentionally. Other claims against DPP employees involves the prioritization of certain permits, not the deprioritization of certain permits,” they wrote.
They added that to prove that their due process rights were violated, the companies “must show that there was no legitimate purpose to the SMA permit process. However, the SMA permit process was specifically enacted to protect the shoreline and other natural resources, which is a legitimate purpose.”
— Teresa Dawson

Carl Christensen
What is the “farm” to which this alleged “farm dwelling” is an accessory?